Działka na sprzedaż

Małogoszcz, Wiśnicz

1880.00 m²
40,43 zł/m2
SPL-GS-207
Oblicz ratę kredytu

76 000 zł

Oferta na wyłączność

Szczegóły oferty

Symbol oferty SPL-GS-207
Powierzchnia 1 880,00 m²
Przeznaczenie działki budowlana
Standard
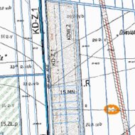
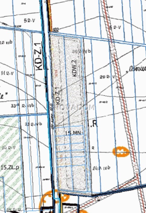
Wymiary działki 22x85 m
Zagosp. działki niezagospodarowana
Ukształtowanie działki płaska
Kształt działki prostokąt
Ogrodzenie działki brak
Gaz brak
Woda jest
Dojazd ASFALTOWA
Otoczenie działki zabudowane
Prąd jest
Kanalizacja własna oczyszczalnia
Pierwsza linia brzegowa tak

Opis nieruchomości

TYLKO U NAS! 
Biuro Nieruchomości NOVADOM 
OFERUJE 

12 działek budowlanych objętych MPZP — każda ok. 1 880 m²! 

Idealna propozycja dla rodziny lub pod inwestycję!  

Na sprzedaż kompleks działek budowlanych położonych w miejscowości Wiśnicz, gmina Małogoszcz, powiat jędrzejowski, województwo świętokrzyskie. 

OPIS NIERUCHOMOŚCI 
- działki z dostępem do drogi publicznej (asfaltowej) 
- dojazd z dwóch stron 
- teren płaski, zadbany 
- działki regularne i przestronne 
- sąsiedztwo zabudowy jednorodzinnej oraz terenów zielonych i lasów 
- stan prawny uregulowany
– księgi wieczyste, brak obciążeń 

Wymiary działek (zaokrąglone): 
Łącznie 12 działek budowlanych: 
10 działek prostokątnych — ok. 22 × 85,5 m (ok. 1880 m2)
1 działka z szerszym frontem — ok. 25 × 85,5 m (ok. 2138 m2)
1 działka w kształcie trapezu — front ok. 31 m, drugi bok ok. 14 m, długości ok. 86–87 m (ok. 1963 m2) - dojazd z 3 stron

Media: 
woda – w sąsiedztwie 
prąd – w pobliżu 
kanalizacja – możliwość wykonania własnej oczyszczalni 

CENA: 
76 000 zł – dotyczy każdej z 10 mniejszych działek 
ceny dwóch większych działek – 87 000 zł i 79 000 zł

Dlaczego warto? 
Otoczenie oraz lokalizacja to ogromne atuty – cisza, przestrzeń, bliskość natury i jednocześnie komfortowy dojazd. 
Idealne miejsce na budowę domu lub bezpieczną inwestycję. 

Kontakt i prezentacja: 
Serdecznie zapraszam do kontaktu. 
Izabela Bal – NOVADOM 
459 115 139


Informacje dotyczące opisu nieruchomości podane są przez właściciela, mają charakter wyłącznie informacyjny i mogą podlegać aktualizacji.
Oferta dotycząca nieruchomości stanowi zaproszenie do rokowań zgodnie z art. 71 Kodeksu Cywilnego i nie stanowi oferty określonej w art. 66 i następnych KC.

Lokalizacja nieruchomości

Kalkulatory

Kalkulator kredytowy

Wysokość raty

PLN
%

Agent

Proszę wprowadzić poprawne imię i nazwisko
Proszę wprowadzić poprawny numer telefonu
Proszę wprowadzić poprawny adres e-mail
Proszę zaznaczyć wymagane zgody
Rozwiąż równanie:
28 9
Niepoprawny wynik